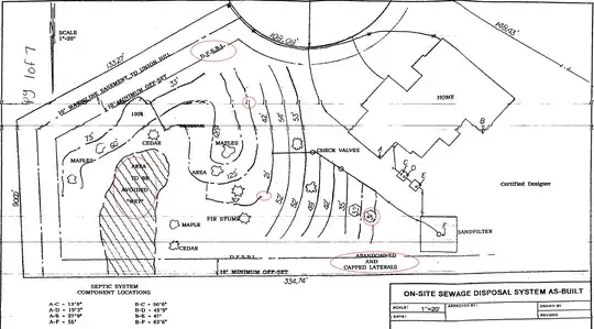
We bought a house built in 1996 with a sand filter septic system. We got the following diagram of the system:
but it might as well be ancient runes to us.
Specific questions:
- What does "D.F.S.B.L." mean?
- What are the circled discontinuities? Are they just copy artifacts, or do they mean something?
- What do the hexagons denote?
- I see a label for "Abandoned and capped laterals", but it's not clear to me if there are any. What is the effect if there are?
- "Wet" area: I would expect the area where the drainage pipes are to be "wet", but for some reason, the "wet area to be avoided" is completely disjoint from the pipes. Why? What activities am I supposed to be "avoiding" in this area?
- What activities should I be avoiding over the area with the septic lines?
