Diasporidion duplicatum
Scientific classification Edit this classification
Domain: Eukaryota
Kingdom: Animalia
Phylum: Arthropoda
Class: Insecta
Order: Coleoptera
Infraorder: Cucujiformia
Family: Cerambycidae
Genus: Diasporidion
Species:
D. duplicatum
Binomial name
Diasporidion duplicatum
(Gounelle, 1909)

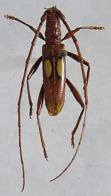
Diasporidion duplicatum is a species of beetle in the family Cerambycidae. It was described by Gounelle in 1909.[1]

References

  1. Bezark, Larry G. A Photographic Catalog of the Cerambycidae of the World Archived 2013-08-27 at the Wayback Machine. Retrieved on 22 May 2012.


This article is issued from Wikipedia. The text is licensed under Creative Commons - Attribution - Sharealike. Additional terms may apply for the media files.